Działka na sprzedaż

Wrocław, Wrocław-Psie Pole, Strachocińska

1 950 000 zł

Numer oferty 291
Typ transakcjiSprzedaż
Cena1 950 000 zł
Powierzchnia5 298 m2
Cena za m2368 zł / m2
Przeznaczeniemieszkaniowo-usługowe
Typ działkibudowlana
Szerokość30
Długość170
Typ ogrodzeniasiatka
Typ drogiasfaltowa
Liczba kondygnacji3
Powierzchnia zabudowy30
Forma własnościwłasność
Wysokość min.10
Prądjest
Wodamiejska
Gazjest
Kanalizacjamiejska
Położenie i wygląd działkiteren płaski
Działka na sprzedaż (Wrocław, Wrocław-Psie Pole, Strachocińska)

Tylko w BGN

Działka na sprzedaż we Wrocławiu, dzielnica Psie Pole, ul. Strachocińska.

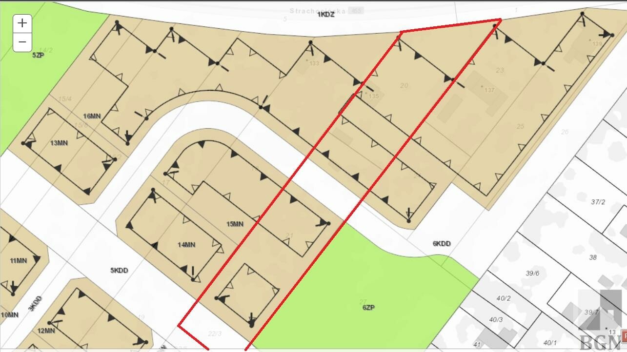
Działka o powierzchni 5298 mkw, w kształcie prostokąta o wymiarach 30 x 175m. Teren płaski, ogrodzony siatką, media na działce. Działka zabudowana domem z początków XX wieku.

Działka w Miejscowym Planie Zagospodarowania Przestrzennego - oznaczona jako 16MN i 15MN.

16MN - teren zabudowy mieszkaniowej jednorodzinnej oraz Usługi I

15MN - teren zabudowy mieszkaniowej jednorodzinnej (również zabudowa bliźniacza) oraz Usługi I i Usługi II

Pełen opis MPZP : https://baw.um.wroc.pl/UrzadMiastaWroclawia/document/72542/


Nieruchomość składa się z trzech przyległych do siebie działek, z możliwością nowego podziału na mniejsze działki, kształtem zbliżone do kwadratów - idealne pod budowę domków jednorodzinnych, bliźniaków.

Możliwość zakupu sąsiedniej działki o powierzchni 3891 mkw - po połączeniu powstanie działka o powierzchni 9189 mkw.
Na sąsiedniej działce w MPZP również możliwość zabudowy szeregowej - 14 MN.


Nieruchomość w okolicy posiada komunikacja miejska, szkoła, kościół , sklepy, usługi, sporo terenów zielonych.



Treść niniejszego ogłoszenia nie stanowi oferty handlowej w rozumieniu Kodeksu Cywilnego.
Oferta wysłana z programu IMO dla pośredników.
Wrocław, Wrocław-Psie Pole, Strachocińska

Kontakt

Ta strona jest chroniona przez reCAPTCHA i Google Polityka prywatności i Warunki korzystania z usługi.